Skip to content
THE HOMESITES
Available Homesites
Builder Homesite Packages
INTERACTIVE SITEMAP
DETAILS
GET CONNECTED
ICI Homes 55
$
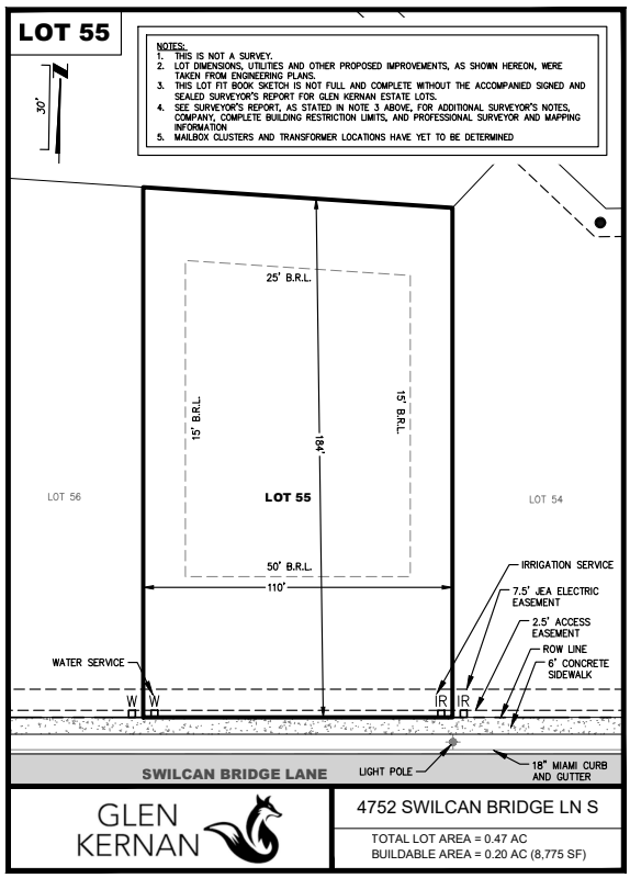
| View: Back to Back | Front Lot Width: 110 ft | Lot no: 55
➞
Back to listing
Photos
Site Plan
Download Site Plan
➞
Back to listing