Skip to content
THE HOMESITES
Available Homesites
Builder Homesite Packages
INTERACTIVE SITEMAP
MEET THE BUILDERS
DETAILS
GET CONNECTED
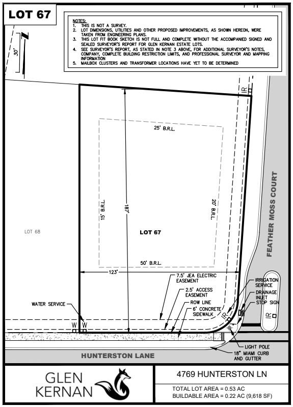
Providence Homes 67
$
| View: Back to Back | Front Lot Width: 123 ft | Lot no: 67
➞
Back to listing
Photos
Site Plan
Download Site Plan
➞
Back to listing